Hydrostatisch evenwicht en de verticale bewegingen die dit evenwicht willen herstellen van lithosfeerplaten die op de asthenosfeer drijven. De bewegingen worden veroorzaakt door veranderingen aan het aardoppervlak, zoals:
Experimenteer met de animatie en los de vragen op. De vloeistof in de bak stelt uiteraard de asthenosfeer voor (gebruik als dichtheid hier 3,3 kg/dm3) en het blok de lithosfeer (dichtheid 2,8 kg/dm3). Stel deze dichtheden in.
Het snel verdwijnen van de ijskappen uit de laatste ijstijd in Scandinavië en Canada heeft geleid tot een isostatische beweging. Ten westen van de Hudsonbaai stijgt het land jaarlijks met 17 mm. Gebruik de kaart om aan te duiden welk deel van Noord-Amerika stijgt. Geef een concrete verklaring voor deze isostatische beweging.
Noteer een korte definitie van de drie bewegingstypes. Achterhaal ook het mechanisme van de beweging (dus welke ‘motor’ de beweging aandrijft).
| Type | Hoe bewegen de platen ten opzichte van elkaar? |
| Convergent | |
| Divergent | |
| Transform |
Mechanisme van de beweging:
Plaatbegrenzing waarbij de platen zich van mekaar verwijderen en waarbij nieuwe lithosfeer gevormd wordt.
De hieronder beschreven casussen geven een chronologisch beeld van dit ‘uit elkaar drijven’
Langwerpinge vallei die ontstaan is door het uitrekken van de lithosfeer.
Deel van de lithosfeer dat door tektonische werking langs een breuk naar boven werd gedrukt.
Maak een oost-westgerichte coupe van de Rijnslenk ter hoogte van Colmar (ondergrond inbegrepen!). Duid minstens aan: - opstijgend magma (= stollingsgesteente), - gebied dat opgevuld werd met sediment (= afbraakmateriaal), - namen van ‘bergketens’, - breuken, - de slenk en de horsten.
Foto Vogezen: Wernain S. (Travail personnel) [GFDL ou CC BY-SA 3.0], via Wikimedia Commons
Neem een kijkje in het gebied en vul in het schema aan: korst, magma, breuken. Duid ook de riftvallei met slenkmeren en de horsten aan. Maak ook een doorsnede doorheen het Kivumeer. De doorsnede geeft hier het wateroppervlak weer, je moet de diepte (gemiddeld 240 m, maximum 480 m) nog in rekening brengen.

Ook in Kenia is er een afwisselende horst- en grabenstructuur te vinden, zoals te zien in onderstaande figuur:
bron afbeelding: geology.com

Langwerpige bergketen op de oceaanbodem waar magma opstijgt, nieuwe korst vormt en twee oceanische platen uit elkaar duwt.
Maak een reliëfdoorsnede doorheen de Atlantische Oceaan van Recife (Brazilië) naar Afrika. Benoem de mid-oceanische rug en duid de hoogte van de rug en de diepste punten van de oceaan aan.
Kies uit: vaste buitenmantel, oceanische lithosfeer, continentale lithosfeer, magma, oceanische korst, sediment, midoceanische rug, continentaal plat, slope, diepzeebodem
Plaatbegrenzing waarbij de platen naar elkaar toe bewegen.
Gebergte dat ontstaan is door de botsing van twee continentale platen.
De korst alleen al is tot 70 km dik onder de Himalaya. De lithosfeer is daar dus veel te dik voor vulkanisme. Ga na of er in dat gebied aardbevingsactiviteit voorkomt.
Teken ook een noord-zuiddoorsnede doorheen de Himalaya.
Tijdens de botsing wordt de voormalige oceaan (en zijn sedimenten) tussen de continenten dichtgeknepen en omhoog geperst.
Proces waarbij een oceanische plaat onder een continentale of een jongere oceanische plaat glijdt. Omdat plaat vernietigd wordt bij subductie spreken we van een destructieve plaatbegrenzing.

Gebergte dat ontstaat door subductie van een oceanische plaat onder een continentale plaat.
Smalle en erg diepe kloof in de zeebodem langs een destructieve plaatrand.
Ga na of er in dat gebied aardbevingsactiviteit en vulkanisme voorkomt.
Teken ook een west-oostdoorsnede van in de Stille Oceaan tot op de Chileense kust. Experimenteer met de punten tot de diepzeetrog voor de kust duidelijk zichtbaar wordt.
Hoge kegelvormige vulkaan, opgebouwd uit laagjes lava en tefra (= brokstukken) met vaak heftige explosies. Stratovulkanen komen meestal voor in subductiezones.
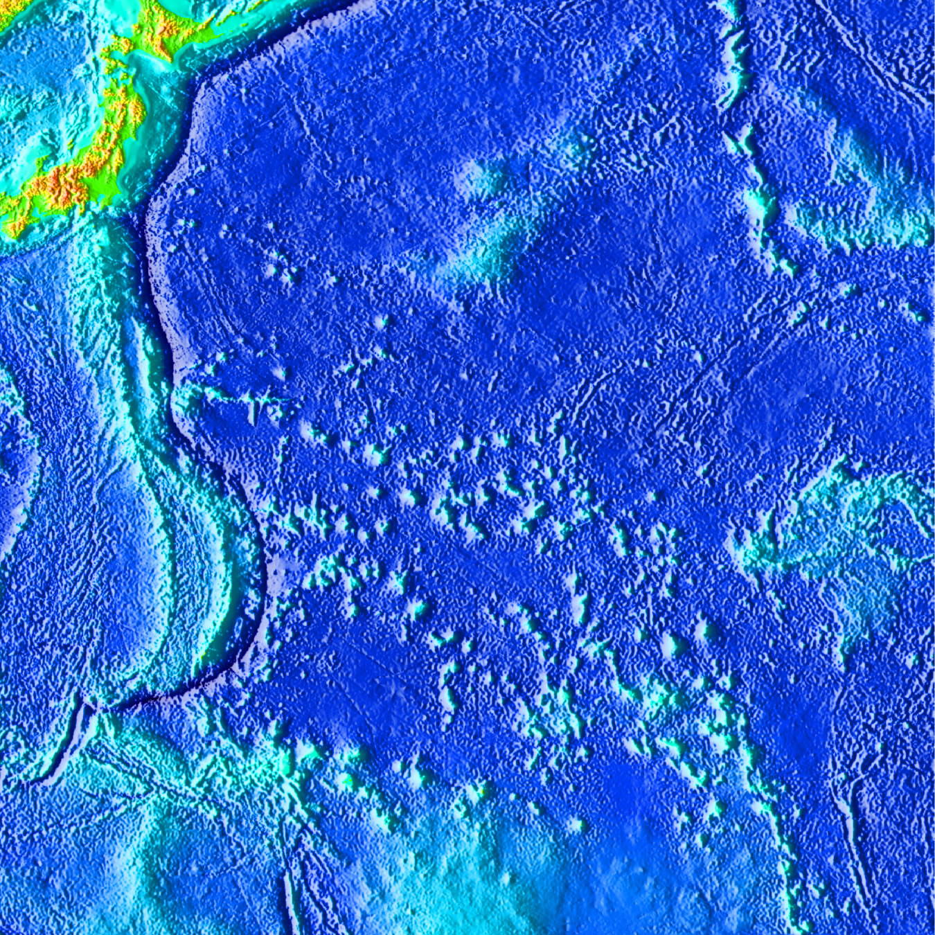
Boogvormige archipel van vulkanische eilanden, gevormd door subductie van een oceanische plaat onder een andere oceanische plaat.
Diepzeetroggen
Bij de botsing duikt de oceanische korst onder en wordt hersmolten. Een gedeelte van dit magma komt opnieuw aan de oppervlakte in de vorm van vulkanen. Deze kunnen uitgroeien tot eilanden.
Maak een doorsnede doorheen de Soendatrog en duid aan: diepzeetrog, subductiezone, vulkanische eilandboog. Door de asymmetrie van de plaatbegrenzing (vulkanische eilanden komen maar aan één zijde voor in groten getale) is het makkelijk te zien welke plaat subductie ondergaat. Formuleer dit bij je doorsnede.
Plaatbegrenzing waarbij de platen langs elkaar heen bewegen, een beetje zoals het verkeer in tegengestelde richtingen.
Bekende voorbeelden zijn de San-Andreasbreuk (zie Google Earth) en de Golf van Akaba - Dode Zee (idem). Transforme plaatbegrenzingen zijn vaak opvallend rechtlijnig. Omdat de platen schoksgewijs langs elkaar schuren, zijn er langs transforme plaatranden vaak intense aardbevingen. Er is geen opsmelting of verdunning van de lithosfeer, dus is er geen toegenomen vulkanische activiteit.
Noteer een definitie voor hot spot en geef minstens drie voorbeelden van een vulkaan of vulkanisch eiland die niet aan een plaatrand gelegen zijn.
Bekijk de eilanden van Hawaii op Google Earth. Welk is het oudste en welk het jongste? Motiveer je stelling en controleer jezelf.